金ケ崎小学校区に、全7区画の自社分譲地「クロチェヴィア辻脇」2025年3月完成。
学校、商業施設などへのアクセスも良く、利便性と環境を兼ね備えた、80坪台の広々ゆとりあるサイズの分譲地。
大きな区画もありますので、ゆったり広めの住宅用地にも。
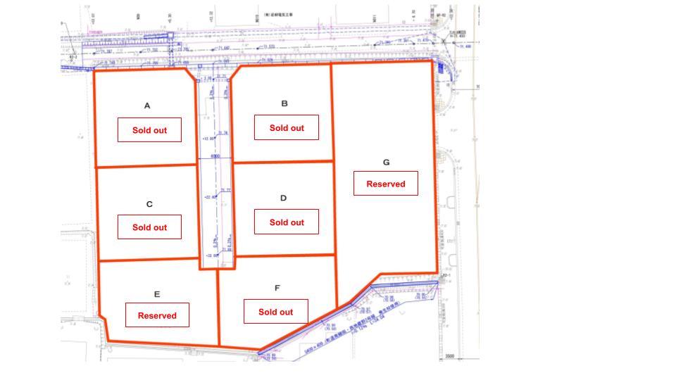
大変ご好評いただき、全7区画中5区画ご成約をいただいております。
G区画ご予約あり。
E区画に予約が入りました。(2025/10/20)

●A~F区画
A区画 282.6㎡(85.4坪) Sold out
B区画 282.6㎡(85.4坪) Sold out
C区画 276.0㎡(83.4坪) Sold out
D区画 276.0㎡(83.38坪) Sold out
E区画 279.46㎡(84.42坪) ご予約有り
F区画 274.41㎡(82.90坪) Sold out
◎上下水道完備
◎接道:位置指定道路(幅員6m)持分6分の1(211.30㎡)
◎用途地域:A,C,E区画 第一種低層住居専用地域、B,D,F区画 第一種住居地域
●G区画
G区画 640.2㎡(193.41坪) ご予約有り
◎G区画、上下水道は買主様にて東側公道本管から引込み可能
◎接道:G区画 東側公道(13.5m)
◎用途地域:第一種住居地域
[小学校]金ケ崎小学校まで約1,200m(徒歩15分 車2分)
[ドラッグストア]薬王堂岩手金ケ崎店まで約500m
[コンビニ]ローソン金ケ崎西根店まで約500m
[スーパー]アークス金ケ崎店まで約1,900m(車4分)
所在地:胆沢郡金ケ崎町西根辻脇33-1ほか
LAND 売主物件
【ご成約・ご予約済】金ケ崎町「クロチェヴィア辻脇」分譲地全7区画
- 更新日
- 2025.10.20 Mon
- 取引態様
- 売主
- 価格
- 540万円
- 所在地
- 岩手県胆沢郡金ケ崎町西根辻脇33-1ほか
- 周辺環境
- [小学校]金ケ崎小学校まで約1,200m(徒歩15分 車2分) [ドラッグストア]薬王堂岩手金ケ崎店まで約500m [コンビニ]ローソン金ケ崎西根店まで約500m [スーパー]アークス金ケ崎店まで約1,900m(車4分)





