クロチェヴィア辻脇、G区画募集です。
約194坪の広々宅地です。金ケ崎でゆったりした住宅用地をお探しの方にもいかがでしょうか。
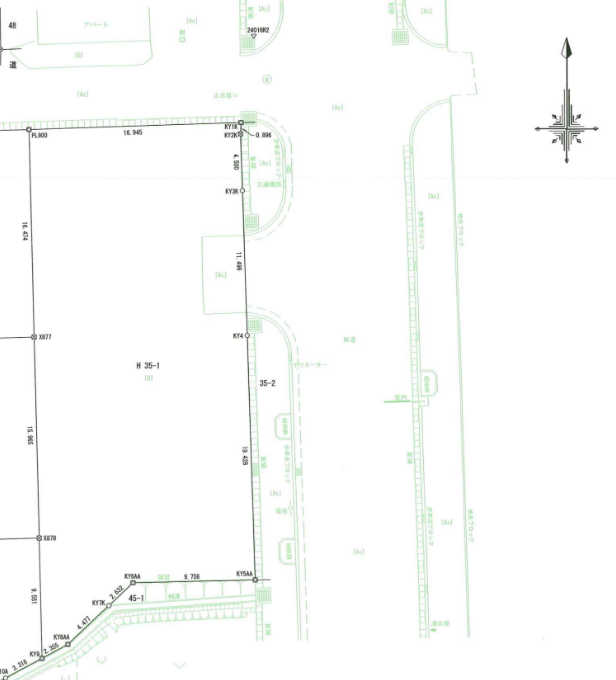
トヨタ岩手工場の近くです。二方向に接道があり開放感のある土地です。
建築条件無し 宅地
641.69㎡(約194坪)800万円
◎現況渡しです。上水道は東側前面道路に配管あり、敷地内引込管はありません。下水道は引込枡なし。
◎上下水道引込工事を売主にて行って引渡とする場合は、売買代金950万円です。
◎接道:東側 公道(幅員17m)、接面35.4m、北側 公道(幅員4.5m)、接面16.9m
◎用途地域:第一種住居地域
◎建ぺい率:60%◎容積率:200%
◎取引態様:売主
所在地
[交通]JR東北本線 金ケ崎駅 約2,100m
[小学校]金ケ崎小学校まで約1,200m
[スーパー]アークス金ケ崎店まで約1,900m
[コンビニ]ローソン金ケ崎西根店 約500m
[ドラッグストア]薬王堂岩手金ヶ崎店まで約500m
LAND 売主物件
クロチェヴィア辻脇G区画 約194坪の宅地
- 更新日
- 2026.02.06 Fri
- 取引態様
- 売主
- 価格
- 800万円
- 所在地
- 胆沢郡金ケ崎町西根辻脇
- 土地面積
- 641.69㎡(約194坪)
- 学区
- 金ケ崎小学校



